PlayOn11 - Where Fans Become Winners
Strongest storm on planet bearing down on U.S. islands in Western Pacific

Infared imagery of Super Typhoon Sinlaku on Sunday evening. The typhoon reached sustained winds of 1...

LATEST NEWS April 12, 2026

Strongest storm on planet bearing down on U.S. islands in Western Pacific

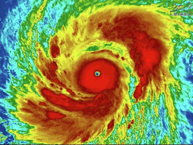
Infared imagery of Super Typhoon Sinlaku on Sunday evening. The typhoon reached sustained winds of 180 mph, making it the strongest storm on Earth in 2026...

1 views 0 likes 0 comments
Infared imagery of Super Typhoon Sinlaku on Sunday evening. The typhoon reached sustained winds of 180 mph, making it the strongest storm on Earth in 2026...

Author: San Francisco Chronicle

Read Original Article

Related News

Top Categories